Patient
Female, 48 years old (at the time of initial consultation)
Initial concerns at the first visit:
– Enlarged pores
– Uneven skin tone
– Dull complexion
– Early signs of aging
– Dehydrated skin
Skin type: combination skin with visible signs of aging.
Diagnosis and Treatment Plan
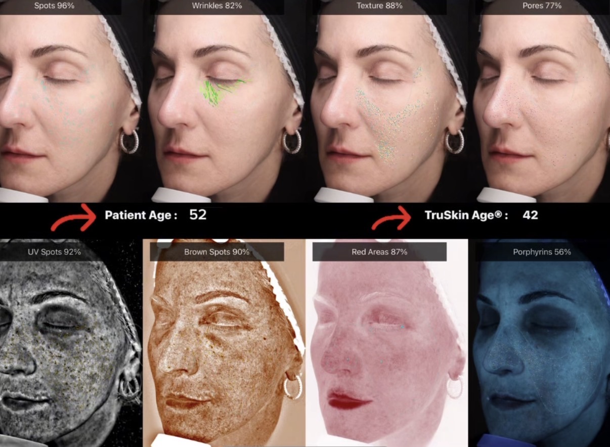
At the initial visit, a comprehensive skin assessment was performed at our Brooklyn Med Spa using the VISIA Skin Analysis System. This advanced diagnostic technology allows for an objective evaluation of skin quality, pore size, pigmentation, overall tone, and biological skin age.
The primary goals of the treatment plan were to:
- even out skin tone
- lighten dark spots
- minimize the appearance of enlarged pores
- improve skin texture and overall skin quality
- maintain optimal hydration levels
- slow down the aging process and preserve youthful-looking skin
A long-term skincare strategy was developed, focusing on sustainable results rather than short-term cosmetic improvements.

In-Office Treatments
All treatments were performed at Metodica Med Spa in Brooklyn, NYC, using FDA-approved technology and medical-grade protocols.
1. IPL Photorejuvenation
- One course per year
- 4–5 sessions per course
Key benefits:
- Improved skin texture and firmness
- More even skin tone
- Visible pore refinement
- Stimulation of collagen production
- Prevention of age-related skin changes

2. Injectable Skin Hydration with Hyaluronic Acid (SkinVive Skin Booster)
- Restores and maintains optimal hydration
- Improves skin elasticity and firmness
- Enhances natural skin radiance
Home Skincare
A personalized at-home skincare routine was prescribed and monitored by our specialists with a focus on:
- Skin hydration:
Growth Factor Serum by ZO Skin Health, every evening - Pore refinement:
Exfoliating Clarifying Serum by ZO Skin Health, every morning - Skin rejuvenation:
Retinol 0.5% by ZO Skin Health, three evenings per week - Exfoliation and renewal:
Exfoliating Polish by ZO Skin Health, twice weekly - Protection against photoaging:
Sheer Fluid Broad-Spectrum Sunscreen SPF 50 by ZO Skin Health, applied daily before sun exposure
Consistent home skincare enhanced and prolonged the results of in-office treatments at our Brooklyn Med Spa.

Why these treatments?
- IPL phototherapy effectively improves skin quality and activates natural rejuvenation processes
- Annual treatment courses help maintain results and prevent photoaging
- SkinVive Skin Booster with hyaluronic acid provides optimal, long-lasting hydration
- Consistency in treatments delivers cumulative and long-term benefits
Results
After four years of consistent and structured skincare at our NYC MedSpa, the results are clearly visible.
In 2025, at nearly 52 years old, the patient’s skin appears noticeably younger than it did at age 48.

Follow-up VISIA Skin Analysis confirmed:
- Even and healthy skin tone
- Significant pore refinement
- Improved skin hydration
- Radiant complexion
- Reduced biological skin age
This case demonstrates that with the right long-term approach, skin can not only maintain its condition, it can continue to improve over time.

