In aesthetics, mistakes can be costly - wasting your time, money, and affecting your appearance. Starting treatments without a proper diagnosis is like taking a shot in the dark. That’s why a consultation at a Med Spa isn’t just a "first step" - it’s a crucial checkpoint that directly impacts your results.
If you’re looking for what truly works - not just something to "try" - this step should never be skipped.
At Metodica Med Spa, we perform an in-depth skin analysis using advanced diagnostic tools and build a personalized treatment strategy that actually works.
What you’ll get from a consultation?
A consultation is a full evaluation of your skin and goals:
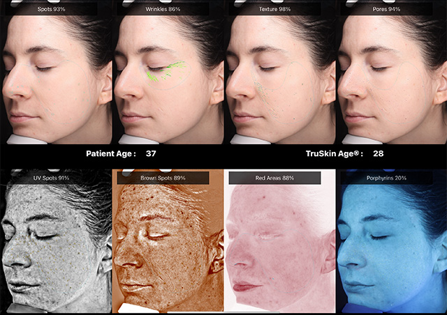
1. Skin analysis with Visia and Vectra:
We identify hidden inflammation, pigmentation, sun damage, and early signs of facial volume loss.
2. Medical history, lifestyle, and goals:
We never push treatments. We recommend only what makes sense for your skin and your desired results.
3. Customized treatment plan:
Clear steps, in the right order, with realistic expectations.
4. Clarity: What can be improved, how long it will take, and how to avoid unnecessary risks.

Why it matters
Skipping a proper consultation puts you at risk of:
-
Spending money on treatments that won’t work
-
Overcorrection—going too far with injections, peels, or devices
-
Letting skin issues progress when early intervention could prevent them
A proper consultation gives you the opposite: control, confidence, and a safe, predictable outcome.

What to expect during your consultation?
1. Defining your goals
We want to know exactly what concerns you most. Whether it’s a fine line only you notice or a more general concern, we listen first—then build from there.
2. Analyzing your skin aging pattern and overall health
We determine which factors are influencing your appearance. Your health history matters, as some treatments may have contraindications.
3. Professional skin imaging: Visia & Vectra
This goes far beyond a visual exam.
Visia shows skin conditions like pigmentation, enlarged pores, broken capillaries, wrinkles, and inflammation.

Vectra 3D imaging maps volume loss and facial contour changes, allowing us to detect early sagging and structural changes before they’re visible in the mirror.
These tools help us not just treat current concerns, but also proactively address issues before they surface—like hidden pigmentation or early volume loss.

4. Creating your personalized plan
Together, we design a step-by-step roadmap: what treatments are right for you, in what order, and how often. It’s realistic, flexible, and built around your life.
Why this isn’t just a "Sales Pitch" disguised as a consultation
Some clinics include a "consultation" as part of a treatment - leaving you unsure what you’re paying for or why you’re doing a particular procedure. At Metodica, we offer the consultation as a standalone service because:
- It gives you full control;
- You can choose to wait before starting, and still leave with a personalized plan;
- If you move forward, the consultation fee is credited toward your treatment.
If you want real results, start with a consultation
Effective skincare isn’t about luck. It’s about knowledge, strategy, and expert guidance. A professional consultation is your investment in accuracy, safety, and long-term success.
Start your journey with Metodica Med Spa, and see how much more confident and empowered you’ll feel with a skilled team behind you.
Booking your consultation is the first step to taking control.

Article reviewed by
Oksana Kazakova
Licensed cosmetologist, Licensed esthetician
10+ years experience
Prices
| Consultation | 130$ |
Before & after
Acne
- IPL phototherapy 6 sessions,
- Jessner’s Peel 6 sessions
- 20 days after the treatment course
Acne, Acne scars
- Resurfacing acne scars & IPL acne spot
- 6 sessions
- 15 days after the treatments course
Rosacea
- IPL correction rosacea, 6 sessions
- MesoBotox, 3 sessions
- SkinVive skin booster, 1 session
FACIAL CONTOURS
- Ultherapy Non surgical Face Lift
- 800 lines
- 3 months after initial treatments
Reviews
I’ve been a loyal client at Metodica Med Spa for over two years now, and I can confidently say it’s the best decision I’ve made for my skin! I regularly visit for treatments to maintain a youthful, radiant appearance for years to come.
The IPL skin rejuvenation treatments have been amazing for evening out my skin tone and reducing redness, while the Laser ResurFX sessions have helped smooth out my skin texture and improve overall firmness. I also recently tried Ultherapy, and the non-surgical face lift results are incredible, my jawline looks more defined, and my skin feels lifted and refreshed. The team at Metodica is always professional, attentive, and makes every visit comfortable. I’m thrilled with the results I’ve achieved and highly recommend Metodica Med Spa to anyone looking to invest in their skin and maintain their youth!
A few weeks ago, I had my first IPL photofacial at Metodica Med Spa, and I'm already noticing a difference! The M22 machine they use is amazing. My skin tone is evening out, and the redness from my rosacea is much less noticeable. The treatment was quick and comfortable, and I can’t wait for my next session!
Highly recommend! I’ve been coming to Methodica for years, never had better experience. I guess I’ve done every service they offer by now haha My regular “to do” list includes: IPL, ResurFX, biorevitalization, laser hair removal… Great results, amazing care. Customer treatment is a top notch here. Super professional! Much love
I am so happy that I found this professional cosmetology in NYC! I always had problems with the skin on my face: old ache spots, capillaries, dark spots and loose pores. After 2 procedures of IPL my skin is much better, it is so smooth and radiant. Most of spots are gone and pores are much smaller. I can't wait to have the third procedure. The cleansing of my skin was also excellent with a relaxing bonus massage! Especially I want to recommend cosmetologists Oksana and Maria! They are true professionals!
I’ve been coming to Metodica Cosmetology for six months. When I came for the first time, my face and neck skin were in a terrible condition. I had red, ugly, and painful pimples and bumps. Oksana did a full check up on my skin and analyzed my issues. After that, we decided to do a special peeling. After the first procedure I saw some improvements. In addition, Oksana recommended that I changed my skin care routine and add some products. My face has been becoming more fresh and healthy and acne has started to heal. Now I’m so happy with my skin! In the first picture you can see my neck before I started to work with Metodica. In the second picture there is my neck now. I really forgot about painful acne! Therefore, our next step is a removal of scars and spots that we do with Nino. I am going to say BIGGEST THANKS to Metodica’s team for the help! I can recommend the Metodica Cosmetology for everyone!